LUMINOSO E AMPIO TRILOCALE

In vendita
Appartamento
Torino
169.000 €
Descrizione
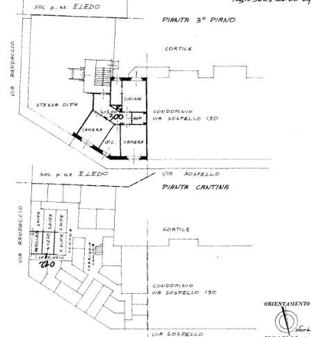
TORINO - In via Sospello, in una zona comoda e ben servita, a pochi minuti da corso Grosseto e corso Toscana, proponiamo in vendita un alloggio situato al terzo piano di uno stabile dotato di ascensore.

L’appartamento si presenta in buone condizioni generali ed è caratterizzato da ambienti ampi e ben distribuiti. L’ingresso è spazioso e accompagna alla zona giorno composta da soggiorno e cucinino separato. La zona notte ospita due grandi camere da letto, entrambe molto luminose, mentre il bagno è stato rifatto. Gli infissi sono in PVC con doppio vetro, garanzia di comfort e isolamento.

La doppia esposizione rende l’alloggio particolarmente luminoso e arioso, con due balconi che valorizzano ulteriormente gli spazi interni.

La posizione è strategica: via Sospello si trova nel quartiere Madonna di Campagna, una zona residenziale ben collegata, ricca di servizi, scuole, negozi e mezzi pubblici, con rapido accesso alle principali arterie di collegamento della città.

Completa la proprietà la vendita obbligatoria di un box auto doppio al prezzo di € 22.000, ideale per chi necessita di spazio e comodità.

Una soluzione funzionale e luminosa, perfetta per chi cerca ambienti generosi in una zona pratica e ben collegata di Torino.
Caratteristiche principali
Codice:
V000802
Città:
Torino
Categoria:
Appartamento
Locali:
3
Camere:
1
Bagni:
1
Mq:
100
Balconi:
2
Piano:
3
Classe energetica:
In fase di valutazione
Stato Immobile:
Buono
Grado:
Medio
Lati Liberi:
2
Giardino:
No
Arredi:
Non Arredato
Tipo Soggiorno:
Soggiorno
Tipo Cucina:
Cucinotto
Riscaldamento:
Centralizzato
Tipo Riscaldam.:
Termo valvole
Tipo Impianto:
Radiatori
Fonte Energetica:
Metano
Infissi:
PVC Doppio Vetro
Serramenti:
Nuovo
Persiana:
Tapparella PVC
Pavim. Giorno:
Graniglia
Pavim. Notte:
Gres Porcellanato
Pavim. Cucina:
Graniglia
Pavim. Bagno:
Ceramica
Accessori
Aria Condizionata
Ascensore
Doppi Vetri
Fibra Ottica
Passaggio Automobilistico
Passaggio Pedonale
Porta Blindata
Tende da Sole
Mappa
via sospello, 192 - Torino (TO)
Video
Planimetrie
Richiedi informazioni
Invia
Cookie preference